着物の生地の見分け方(ICHIROYA流:決定版)
いまさら、着物の生地の見分け方である。
僕がわざわざ書かなくても、すでに誰かちゃんとしたものを書いているだろうと、いま、検索してみた。
しかあし!
充分納得のいくページが、すぐには出てこない。
そこで、決定版と長く参照される(はず)のページを書くことにした。
長い道のりになりますぞ!
ついて来おい!
まず、見分ける前に、そもそも、繊維というのは、何からできているか、という基礎を理解してもらわねばならない。
それと、間違って使われている業界用語も、ちゃんと使い方を確認する必要があるのだ!
まず、「正絹」と「絹」。
どちらも絹だ。Silkだ。
そんなことはわかるって?
では、「合繊」と「交織」。
案外、業界では、このふたつの言葉はごっちゃになっている。
「合繊」は、合成繊維。つまり、人工的に作られた繊維である。繊維というのは、糸からできているので、糸そのものが、スパゲッティかなにかをつくるように、人間の手によってつくられているのである。合繊には、基本的にいくつかの種類がある(あとで述べる)
「交織」とは、複数の素材の糸で織ってある、という意味だ。たとえば、よくあるのは、「人絹」と「絹」の交織で、経糸人絹、緯糸絹の織物は古いものによくある。しかし、厳密に言葉の定義に従えば、「麻と綿」「芭蕉と麻」なども、「交織」のはずである。しかし、業界では、「交織」といえば、「合成繊維と自然繊維」の両方が使われているものを指し、あまり意識していない場合は、「合繊」と同義に使われることも多い。
さて、繊維が何からできているか、厳密に言えば、「糸」というのは何からできているか、に入ろう。
「糸は、タンパク質か、セルロースか、石油のどれかからできている」
じつは、これさえ理解できれば、あとは簡単なのである。
まず、タンパク質でできているものは、何か。
そう、代表選手は、絹である。
蚕さんが、身体から絞りだした分泌液は、タンパク質からできている。
ウールも、羊さんの毛をむしりとったものであるから、当然、タンパク質である。
さて、タンパク質を火にかけるとどうなるだろうか。
お笑いの爆発シーンを思い出そう。
顔は真っ黒、髪はちりちりである。
そう、燃え上がらず、ちりちりになってしまうのである。
下の動画は経糸緯糸とも絹の生地を燃やしたところである。
*火は自然と消えて燃え広がらない
*黒い灰が指で簡単に潰れる
点が特徴である。
ただし、黒い染料に染められたものの多くは、染料のせいで、このような黒い玉にはならない。また燃えるような燃えないような微妙な炎となる
その場合、「絹」か「人絹」かを疑って検査しているのであれば、簡易に検査する方法は存在しないので、手触りなどで総合的に判断する
下の動画はウールを燃やしたときの燃え方である。
絹とまったく同じ燃え方をすることがわかっていただけるかと思う。
しかし、ウールを燃やすと、とんでもなく、臭い。
絹を燃やしても確かに多少匂うが、積極的に匂いを嗅がなければわからない程度であるが、ウールはとんでもなく嫌な臭いを発する。
たぶん、その程度は、まったく初めての人にも、文章でわかるほどに、臭い。
におってみて、どうなんだろう、と迷うものは、絹、
くさっ!って思うものは、ウールと思えば間違いない。
ちなみに、ウールの糸は、短いチリチリの毛を撚り合わせてつくられている。
ある先輩のウールの判別方法は、「頬に当ててチクチクしたらウール」というものだが、案外、この方法は簡単で確かである。
短い直線でない糸を撚り合わせて糸にしているものは、代表選手として、綿があり、絹も紬では同じような外形をしている。
顕微鏡で調べたら、ウール、綿、絹の紬の糸はよく似ていて、表面に繊維の端が多く飛び出しているのだが、頬に当ててチクチク感じるのは、その先輩の言う通り、ウールだけなのである。
さて、次のセルロースであるが、植物性の繊維はすべて、このセルロースというものからできているのである。
綿と麻は、だから、もちろん、セルロースである。
そして、アンティークによくある人絹も実はセルロースからできている。
人絹(英語名レーヨン)は、パルプからつくられる。
パルプはなにからつくられるかといえば、当然、木材(植物繊維)などからつくられる。
そう、「人絹は紙」と思えば良い。
「人絹は紙だから、唾をつけてひっぱるとすぐに破れる」と言って、唾をつけて破ってみせてくれたひとが何人かいたが、たしかに人絹は濡れると強度が1/3になるそうである。また、古い人絹は繊維が弱く、小穴が開いたり、すれて白くなっているようなものは多い。
綿、麻、人絹は、すべてセルロースからできているので、同じように燃える。
ちょうど、紙を燃やしたときと同じで、
*火は燃え広がる
*潰れる灰になる。
では、これらの素材を見分けるにはどうしたら良いだろうか。
綿と麻は、短繊維で、1mmから5mmぐらいの長さの糸を撚り合わせて糸になったいる。
いっぽう、人絹は、どちらも存在するが、主に、長繊維でつくられて、滑らかな絹の風合いを出している場合が多い。
この違いは、顕微鏡で見ると、ある程度はわかる。
綿と麻は、ともに短繊維ではあるけれど、麻のほうが繊維が長く、ツルッとしているものが多い。綿は、どちらかといえば、短繊維がからまってモコモコした感じである。
人絹はさらにツルッとした人工的で均一な感じがする。

能登上布(麻) 50x

近江上布(麻) x50

奈良晒生平(麻) x50

弓ヶ浜絣(綿) x50

益子木綿 50x

備後絣(綿) 50X
上3つが麻、下3つが綿である。
つるつるともこもこの違い、わかっていただけるだろうか。
しかし、紡績糸のラミー(麻)にはわかりにくいものもある。
下の写真は、経糸:綿、緯糸:ラミー(麻)紡績糸で織られた「八重山交布」であるが、顕微鏡で見ても、どっちがどっちかわかりにくい。

八重山交布 経糸:綿、緯糸:ラミー(麻)紡績糸
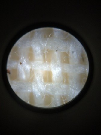
そして、わかりやすいのが長繊維の人絹(レーヨン)である。
写真はアンティークの絽の着物から撮った。

人絹(レーヨン) 50X
つるっとした人工的な糸の感じがわかっていただけると思う。
レーヨンのつるっとした感じは、写真で見るより現物はさらにわかりやすい。
が、八重山交布のように交織されていてわかりにくいものもあれば、麻と見間違うような細い糸で織られた綿も皆無ではなく、結局のところ、麻、綿、人絹の違いは、風合い、手触り、顕微鏡での糸の観察などを通じて、総合的に判断するしかない。
さて、最後は、石油からできている繊維である。
石油からできているもので、代表選手はポリエステル。
ビニロン、ナイロン、アクリルも同じである。
これらの繊維は言わば、ペットボトルやプラスチックと同じなので、燃やせば、燃えるし、火が消えたあとには、いったん溶けていたものが、硬く固まるのである。
よくできたポリエステルは、着物のプロの50年選手をも騙すことがあるほどの、絹に似た風合いをもっているけど、燃やすと、動画のように一目瞭然である。
着物に使われる合成繊維の多くはこれらのどれかなのだけれど、実は、あと2種類ある。アセテートとプロミックスである。
アセテートはちょっと古い子供の着物によく使われたもので、絹のような光沢のある繊維である。木材パルプ(セルロース)と酢酸から作られる半合成繊維で、見分けが難しい。
古いものだと、酢酸のせいか、とても酸っぱい臭いがする。
燃やしてみたら、セルロースが主成分なので、人絹みたいになりそうだけど、灰はポリエステルみたいに固まる。
でも、このアセテートってやつは、昭和中期~後期の子供の着物のほかには、ほとんど着物としては使われていないので(黒留袖で見たことはあるけど)、あまり考えなくて良いと思う。
最後に残った、プロミックスは、業界では、「牛乳」と呼ばれるもので、たしかに、牛乳の動物性たんぱく質とアクリルからできている。
縞大島のようなツルッとした生地のアンサンブルに多い。
この「牛乳」と絹の違いを手触りで見分けるのは難しいけれど、プロミックスにはアクリル成分が含まれているので、燃やしたらポリエステルのような燃え方になる。
(いま動画がないけど、また、チャンスがあれば燃やしてアップします)
あともう少し注意する必要があるとすれば、引箔、金銀糸など。
最高級の金糸は、純金箔を紙に乗せて細く切ったものを、絹の芯糸に巻きつけてつくる。
安い引箔の糸は、合成樹脂のフィルム状のものを細く切って、そのまま糸にする。
帯にはそういった糸が多く使われているので、燃え方もそれに準ずることになる。
さて、いかがだったでしょうか?
「糸は、タンパク質か、セルロースか、石油のどれかからできている」
と思えば、簡単でしょう?
風合いから、どんな繊維の可能性があるか、絞る。
そのあと、燃え方で見分けれるものは、燃やしてみる、顕微鏡で見分けれるものは、顕微鏡で見てみる。
燃やしてもわかりにくいものは、経糸、緯糸を分けて燃やしてみる。
というふうにしていけば、たいていの、着物の繊維は、見分けることができるのです。
*おまけ~芭蕉布(パキパキした感じです)
